De gemeente Weert heeft een grote bouwopgave de komende jaren. Het gaat om woningen, bedrijventerreinen en een tweetal energielandschappen. De gemeente verkent daarom de mogelijke locaties voor toekomstige ontwikkelingen. Dit gebeurt zorgvuldig op basis van duidelijke uitgangspunten rondom mobiliteit, landschappelijke kwaliteit en woonbehoefte. Het gemeentebestuur heeft besloten om voorkeursrechten te vestigen op gronden gelegen in een aantal specifieke locaties.
Gemeente Weert
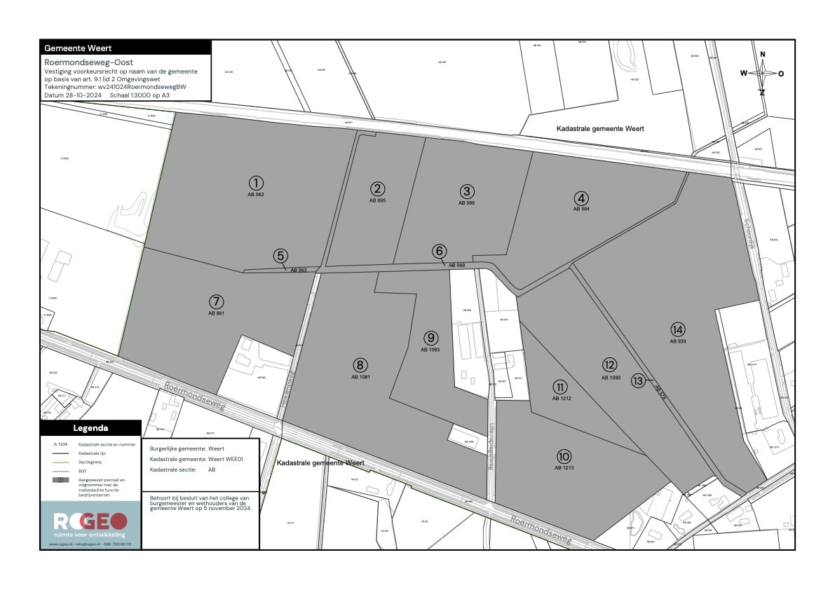
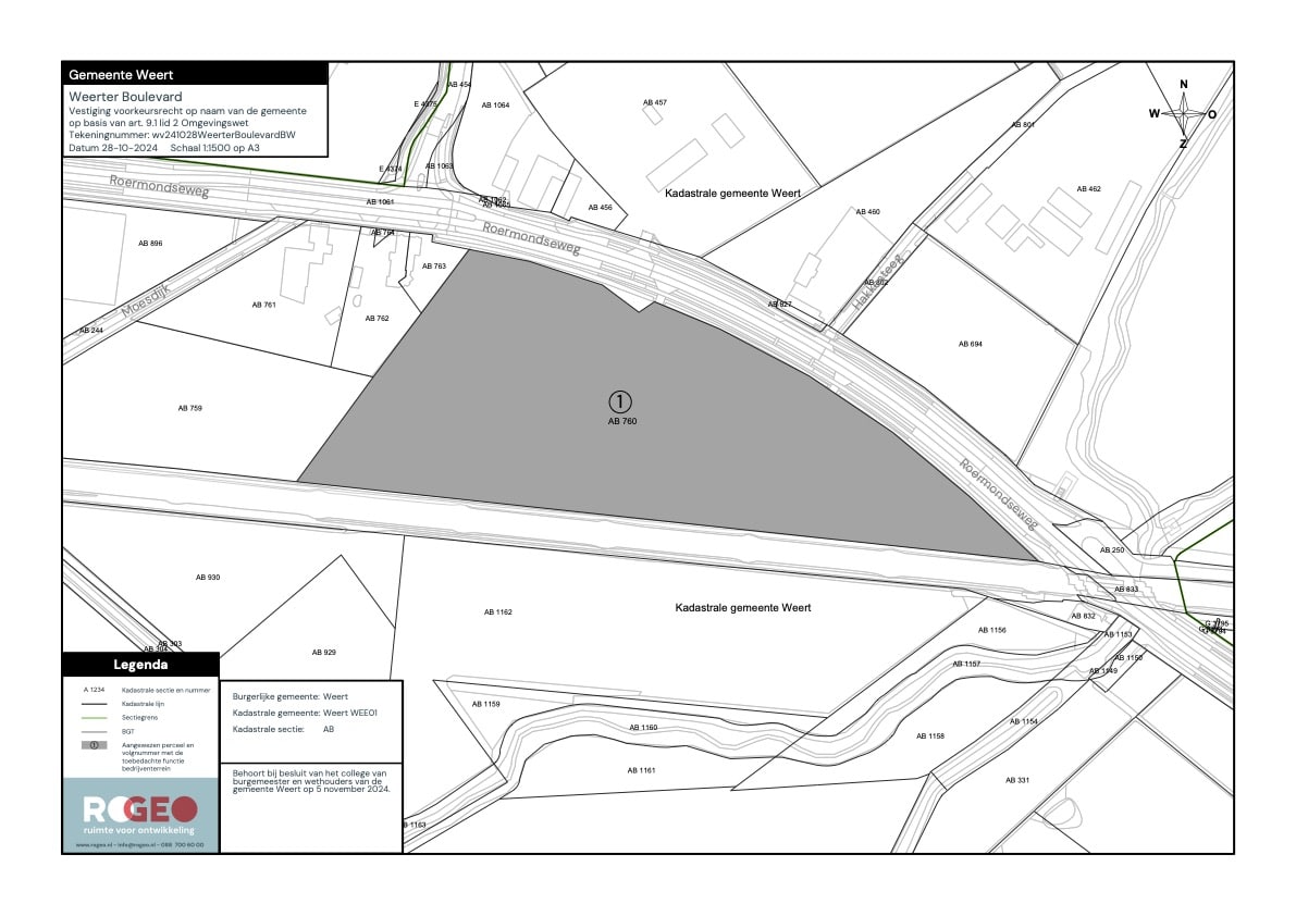
Het gaat hier om de locaties Boshoven-West, Hulsterdijk, Roermondseweg-Oost (locatie Heikemp) en Weerter Boulevard. Deze gebieden zijn aangewezen als mogelijke ontwikkellocatie in de Ruimtelijke Ontwikkelstrategie die op 4 november 2024 door de gemeenteraad is vastgesteld. De vestiging van het voorkeursrecht houdt in het kort in dat eigenaren bij een voorgenomen verkoop verplicht zijn om hun eigendommen eerst aan de gemeente aan te bieden, voordat ze deze aan anderen mogen verkopen. De eigenaren hebben hierover bericht ontvangen.
Waarom voorkeursrecht?
Dit voorkeursrecht stelt de gemeente in staat om regie te voeren over de toekomstige ontwikkelingen en het tempo van de uitvoering te bepalen. Ook wordt hiermee speculatie en prijsopdrijving van de grond voorkomen. De gemeente wil hiermee de doelen zoals de ontwikkeling van nieuwe woongebieden, bedrijventerreinen en energielandschappen realiseren.
De gebieden Boshoven-West en Hulsterdijk worden onderzocht op mogelijkheden voor woningbouw en de daarbij behorende infrastructuur en zogenaamde ‘groen-blauwe’ structuren, bijvoorbeeld de aanleg van landschapselementen en waterpartijen. Wethouder Thomas van Gemert: “Het is van essentieel belang dat we voldoende bouwmogelijkheden creëren voor eigen inwoners.”
Roermondseweg-Oost (locatie Heikemp) is in beeld als uitbreidingslocatie om een nieuw bedrijventerrein te realiseren, gericht op werken en energieproductie. De locatie Weerter Boulevard richt zich op de uitbreiding van het bestaande bedrijventerrein Weerter Boulevard. Wethouder Martijn van den Heuvel: “Hiermee zorgen we ervoor dat onze eigen ondernemers de ruimte krijgen om te groeien en in Weert te kunnen blijven ondernemen.“
Planontwikkeling moet nog starten
Het toepassen van voorkeursrecht is een strategische keuze. Hoe de gebieden er in de toekomst uit gaan zien, moet nog uitgewerkt worden. Wat wel duidelijk is, is dat het gemeentebestuur extra woningen wil realiseren om te voldoen aan de grote vraag naar sociale en betaalbare (huur)woningen en daarbij het tempo van de ontwikkelingen op wil voeren. Het college van B&W heeft het voorlopige voorkeursrecht op de vier locaties in november 2024 gevestigd. De raad zal dit op 29 januari tijdens de raadsvergadering behandelen.










Er zijn nog geen reacties geplaatst